The mining industry has lost one of its best mining engineers with the death of James S Knowlson V this last January 2, 2022.  Jim was the Chief Engineer at Anaconda’s Butte, Montana operations, starting there as an underground sampler in the late 60’s while he worked his way through Montana Tech.  Jim brought a wealth of knowledge with him to other jobs from his experiences in Butte; from his work in the geology department he knew more about geology than most geologists.  Jim’s passing has made me reflect on my own Anaconda days and how Jim carried the torch to many young engineers and geologists over the years. 

Anaconda’s mine geology and engineering programs were highly structured according to systems set up over 100 years ago.  Various authors and bloggers have attributed these to a single geologist and point in time, but, as we should recognize that all history is written by the best publicists, we know better.  Many individuals contributed to these systems, and undoubtedly they underwent improvements and modifications which could continue today.  Some elements of the Anaconda system can be recognized in writings by T. A. Rickard and his contemporaries, and later, in the mining engineers handbooks edited by Peele, and Mining Geology by McKinistry.  I think what distinguishes the Anaconda system from any other is its wide use because of the large size of the company and its long trajectory from 1900 – 1985, the year of its final demise.  A great number of people were trained in the system on two continents.

Jim Knowlson brought the Anaconda system to a newer mine, the Cannon Mine.  When I hired on there in 1990, seeing that system in place was like renewing an old friendship.  Seven orebodies composed a deposit from which we ultimately mined 1.25M oz of gold and 2.07M oz of silver that had an average mill-head gold grade of 0.30 opt (10.2 g/T).  The mining method was bench-and-fill with cemented waste pillars.  The mine opened in a time of relatively low gold prices compared to the period in which it was developed.  Our full-burden cutoff grade was 0.165 opt Au, relatively high compared to the mean grade of the reserve.  We had to drill and sample a lot, and be careful with what we mined and sent to the mill.  At the end of the mine, we had to minimize ore left behind in order to extend the life as much as possible.  The Anaconda system addressed grade, efficiency, consistency, accuracy and safety.

Control Measures

One of the most important procedures instituted by Jim was documented in a memorandum that addressed preparation of development and stope layouts.  This powerful tool synced the technical team with the mine team, eliminating “cowboying”.  Every planned excavation was subject to the layout procedure.  The opening paragraph of Jim’s memorandum states: “The purpose of preparing development layouts is to both plan and direct the orderly development of the mine.  Clarity, completeness and the use of accepted standards in the preparation of layouts results in a drawing that is easily understood by all people who must approve and use the product.”  Who could argue with that? 

The process might begin from an urgent idea agreed upon in a daily production meeting or other planning session, or might be a routine layout based on the mine plan and schedule, or for a drill or utility cutout.  Whatever the purpose or reason for the excavation, an engineer or geologist would direct the surveyor to make a scaled 1:240 drawing on an 8 ½ x 11 inch or 11 x 17 inch sheet that comprised a plan and longitudinal section on the centerline of the excavation.  Drawings were two-sided; the reverse side had an isometric drift profile standard showing planned dimensions, offsets, grade, location and date for development headings.  For stopes, the reverse side would show all of the bench drilling row sections.  The drawing would pass first to the mine engineers and geologists for transfer of important design or geologic features to the layout, and then up and sideways through geology, engineering and the Mine Superintendent, with the originator responsible for getting the sign-offs.  A typical layout that might show up in my in-basket is shown below:

Figure 1 Geology and Engineering Stope Layouts for 515 D57 Bench

Survey laid out the excavation. The mining engineer added numbered notes.  The mine geologist added a potentially dangerous hanging wall shear on the plan and section, and the reserve tons and grade expected.  Everyone has reviewed and signed off.  The bench drill sections are shown on the back of the drawing. 

Most of the drawings I still have don’t show all signatures.  This could be because I didn’t keep the final copy, or because someone wasn’t around when the drawing was executed.  The final copy would be stamped in red ink : ISSUED.  There were cases when the drawings were rushed and some signatures bypassed, but everyone was committed to this system.  I still have notebooks of these for the last couple of years of operation, a tab for each area.  I can’t convince myself to throw it all out like the State of Washington Division of Mines and Geology (They dumped all of the original maps, drill logs, inked plans and sections, computer databases transferred at closure…everything!).  The only thing I would add to the protocols is a requirement to plot all existing drill holes on the plan and sections, with special notes for unplugged holes.

From my perspective, one of the head-shake aspects of today’s mine operations is the resistance  toward using the Anaconda layout and approval system in the many places I have been since 1995, without exception.  I think a part of that is the rigid mindset usual in established operations, and another part of it is the reluctance of many managers and technical professionals to truly use a team approach to supervision.  Chaos is preferable, apparently.

Another control measure at Cannon was robust survey.  A 14-page memo authored by Jim Knowlson with the signature of the Senior Mine Engineer detailed Cannon Mine surveying procedure.  The outline of the memorandum, copied below, indicates the level of thoroughness with which procedures were documented – technique, timing, responsibilities, control measures.  Jim learned everything about surveying hands-on during his apprenticeship at Butte.  Surveyors at Cannon did not work in a gray zone. 

Figure 2 TOC for Cannon Mine Survey Procedure

Different levels of precision were expected for each task and these were specified. All survey calculations were done in a specific and robust manner by the surveyor and his calculations were checked by a surveyor’s helper.  These calculations were stamped with a block for sign-off of all steps involved in calculation and record-keeping.

The Cannon Mine also had detailed and documented procedures and forms for muck sampling, diamond drill logging, published weekly and quarterly production and development schedules, daily shift supervisor log and safety examination, an active heading report from geology, daily (short) production meetings before shift, surveyor’s weekly advance report, ore control data entry and retrieval procedures.  Undoubtedly there were others, but I recall these that formed the core of our control system, and they are the ones for which I’ve saved examples in my own files.

The Stope Book

In the Anaconda system, geologists took notes according to the procedures discussed in more length in Part 2.  Samplers also filled out cards and posted their results on assay maps.  Notes and initial postings were at a large scale; e.g., 1:240.  These were rolled up into a stope bookat smaller scales; e.g., 1:600 or 1:1200.  The stope books were notebook format compendia of the entire mine from which one could see the entire history of a mining area and its current status.  This included excavations, produced tons and grade, backfill status and ore reserves.  The stope book(s) was updated weekly and was an invaluable aid for geologists and engineers alike.  Over the years, mylar began to replace linen, and then CAD drawings on paper were employed at the very end of the era, replacing a few draftsmen and making it possible to keep multiple copies of the book.

The stope book comprised sets of plans, stope cross-sections and stope long-sections organized by area, and in large mines it might include index maps for quick reference.  The book had a place in the vault near the engineering/geology work areas where maps were stored for fire protection.   Working mines in the Silver Valley of Idaho still have vaults to protect old maps, logs and other hard data.  The Cannon Mine stope book looked like this:

Figure 3 Sample page of Cannon Mine Stope Book

The organization of the stope book was as follows:

  • Long sections
  • Level Plans
  • Stope cross-sections on stope centerlines.

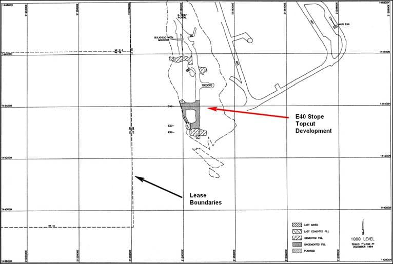
The book was the mine at-a-glance.  The following scans of selected CAD maps are examples from the Cannon stope book of a single stope, the E40, in one of the last orebodies to be mined, B-Reef.  The first is an engineering plan at 1:1200, updated to the end of mining.  Following this is a field sheet for the 1000 level stope topcut development with notes taken by me and a talented mine geologist, E. McCulloch, on different dates. 

Figure 4 Plan of 1000 level, B-Reef, showing excavation and reserve status

Figure 5 Field sheet for 1000 E40 development

An engineering long section is excerpted for the B-Reef zone showing the E-40 after mining and updated up to June, 1994.  Following this is the engineering cross-section of E-40 showing the extracted grade in gold/silver based on production muck samples.

Figure 6 Long section of B-reef orebody showing excavation and reserve status

Figure 7 Cross-section on E40 Stope showing excavation status, mined tons and grade, silcification envelope, and excavation status

That was the stope book.  Unfortunately, I didn’t retain the layout for this drift and the 940E40 stope in the layout notebook I kept on my desk.  I only kept six months to a years-worth of these layouts comprising the active areas of the mine.  Engineering kept the full set in its files.

I know of no other company that had this anything like the Anaconda system and the mine-at-your-fingertips stope book, and this includes engineering/geology departments of mining companies such as Kennecott, Hecla, Newmont, Barrick and Asarco.  Correct me if I’m wrong.  This is not to say that some of these companies’ older mines didn’t have systems for this or that.  The Cannon Mine ran like clockwork because good people worked together using an excellent system that ensured quality and excellent communication.  Good leaders ensured the system would flourish. The continued relevance of the Anaconda system in the new computer age was demonstrated by its contribution to the success of the Cannon Mine.